256 Reagan Place Nw, Chatfield, MN

$54,900

Previous Next

0.13

Acres

About 256 Reagan Place Nw

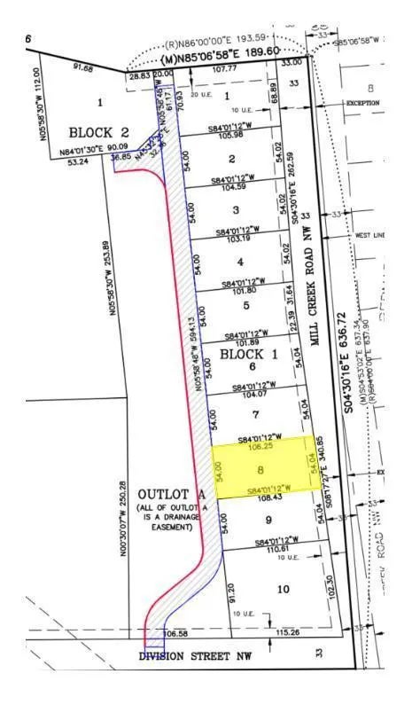
Bring your own builder or let us connect you with one at this new development conveniently located on the edge of Chatfield. Mill Creek Park is just down the road which offers plenty of open space and walking trails. Lots are set up as walkouts and intended to be built as a duplex with the adjacent lot. One lot in the development is a single-family home, suited for a slab, rambler, or split-level.

Features of 256 Reagan Place Nw

MLS® # 6522513
Price $54,900
Acres 0.13
Type Land
Status Active

Community Information

Address 256 Reagan Place Nw
Subdivision Gjere Addition
City Chatfield
County Olmsted
State MN
Zip Code 55923

Amenities

Utilities None Connected, Underground Utilities Available
Is Waterfront No
Has Pool No

Interior

Fireplace No

School Information

District Chatfield

Additional Information

Days on Market 658
Zoning Residential-Single Family
Foreclosure No
Short Sale No

Listing Details

OfficeDriftless Realty LLC

Listing Map

Request a Showing

Provide a valid email address.
When would you like to view this property?